磯部釣船 直栄丸
4日伊良湖沖の泳がせ釣り
匿名さんらの釣行です。
あれがジアイだったのかな?
そう思えるような感じのが2回ありました。
先ずは朝イチ。青物が喰った様子でした。
確かに近くに居た船の竿が曲がったり、タモ入れするところが見えましたが・・
ほんの一流れか二流れぐらいで、我々は「上げてくださ~い」って言ったら回収ヒットで、マタカが1匹釣れただけで終わり。
後半、潮変わりにジアイ。
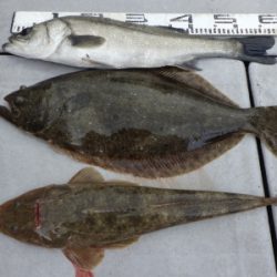
今度はサワラとヒラメも上がってる様子でした。
気合が入り、何回かアタリが出ました。
でも、捕れたのはヒラメ1匹とマゴチ1匹。
ジアイは短いものですが、今日のジアイはちょっと短過ぎです。
少ないアタリを逃したら・・あ~恐ろしい(笑)
活性が上がらない日は喰い込みも悪いし、こんな感じですね。
帰りには波風も出てきまして、どっと疲れた釣行となってしまいました。
お疲れ様でした。
ありがとうございました。
P.S.乗合予約状況です。
泳がせ5日(金)現在2名様
泳がせ6日(土)現在2名様となっております。参加者募集中!
7日(日)も空きとなっておりますので、仕立てor乗合どちらでもお問い合わせ下さい。
お待ちしております。














