大幸丸
1月10日
3番クジ
ピストル
フカセ
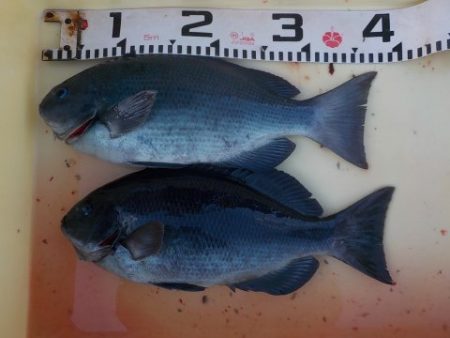
グレ33〜40cm
4枚
大川さん
上り潮
19,0度
タニ
グレ35〜36cm
2枚
イサギ34cm
1枚
遠藤さん
センコウテイ
グレ31〜37cm
11枚
イサギ34cm
1枚
山本さん
8番クジ
ヒッツキ
高
グレ32〜38cm
5枚
イサギ34cm
1枚
黒闘会
細田さん
グレ35〜36cm
2枚
黒闘会
池田さん
低
グレ33〜44cm
9枚
黒闘会
毛馬さん
ヤカタ
グレ38〜39cm
2枚
石田さん
グレ34〜43cm
10枚
イサギ31〜34cm
2枚
EFC
吉見さん
グレ35〜40cm
9枚
釣攻会
堀井さん
グレ33〜41cm
11枚
EFC
早見さん
































