大幸丸
1月8日
3番クジ
11時〜
沖ソエ
フカセ
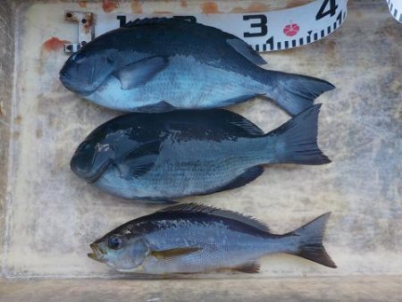
グレ34〜48cm
9枚
イサギ31〜35cm
3枚
アイゴ37cm
1枚
大西さん
下り
〜
上り潮
19,5度
ウマノセ
グレ33〜36cm
4枚
弦牧さん
グレ36〜40cm
2枚
イサギ34cm
1枚
加藤さん
タワラ
グレ34〜36cm
3枚
紋スマ44cm
1本
大加戸さん
グレ36〜40cm
3枚
イサギ31cm
1枚
アイゴ30〜37cm
3枚
太尾さん
ホリモン
グレ32〜40cm
8枚
イサギ30〜32cm
2枚
匿名さん
14番クジ
高橋
グレ28〜41cm
6枚
TAISHIKAI
和田さん


























