大幸丸
12月29日
8番クジ
ヒッツキ
高
フカセ
グレ33〜40cm
3枚
イサギ33cm
1枚
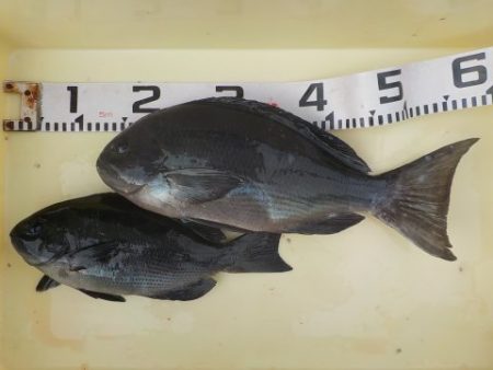
大西さん
動かない
19,5度
グレ33〜45cm
2枚
猪谷さん
低
グレ40cm
1枚
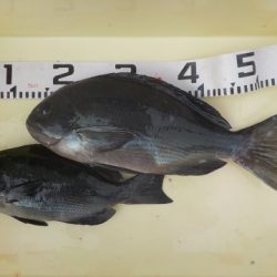
原河さん
船着き
グレ33〜34cm
2枚
横山さん
ヤカタ
グレ37〜37cm
2枚
イサギ33〜35cm
3枚
宗石さん
グレ35cm
1枚
スマ42cm
1本
妹尾さん
15番クジ
タタミ
グレ35〜40cm
6枚
藤原さん
タタミ前
グレ33cm
1枚
イサギ28cm
1枚
大石さん
16番クジ
タキ
グレ35〜40cm
5枚
イサギ26〜31cm
5枚
河野さん
グレ36cm
1枚
イサギ23〜26cm
6枚
大西さん
スベリ
グレ40cm
1枚
スマ42〜43cm
2本
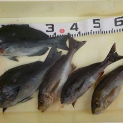
山本さん
巨人
グレ28〜45cm
8枚
EFC
田中さん




































