大幸丸
12月26日
7番クジ
カナワ
フカセ
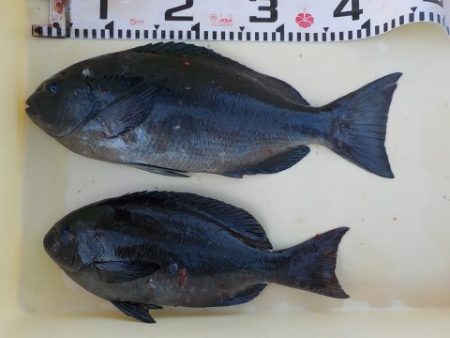
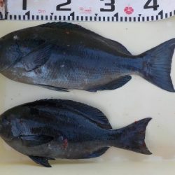
グレ33〜37cm
3枚
イサギ30〜34cm
8枚
EFC
吉見さん
動かない
20,0度
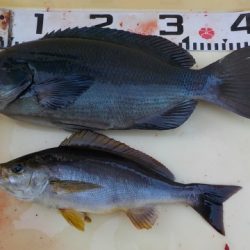
グレ31〜38cm
8枚
イサギ28〜29cm
2枚
アイゴ42cm
1枚
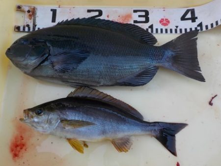
EFC
板東さん
沖フジ
グレ33〜41cm
2枚
イサギ33cm
1枚
アイゴ34cm
1枚
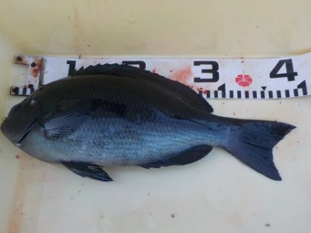
津田さん
地フジ
グレ36〜46cm
2枚
湯浅さん
15番クジ
タタミ
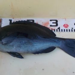
グレ40cm
1枚
イサギ33cm
1枚
黒闘会
森本さん
タドコロ
グレ34〜38cm
2枚
イサギ26〜28cm
2枚
黒闘会
毛馬さん
タドコロ
高
グレ40cm
1枚
松原さん




























