大幸丸
12月13日
8番クジ
ヒッツキ
高
フカセ
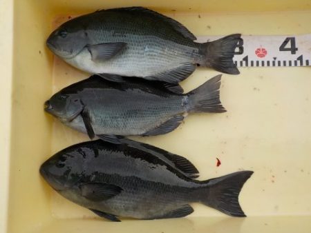
グレ35〜40cm
5枚
イサギ34〜36cm
4枚
EFC
田中さん
上り気味
21,4
〜
20,8度
グレ35〜38cm
5枚
イサギ32〜33cm
3枚
釣攻会
堀井さん
低
グレ34〜38cm
5枚
イサギ33〜35cm
4枚
EFC
波多野さん
船着き
グレ34〜39cm
3枚
EFC
早見さん
ヤカタ
グレ36cm
1枚
イサギ33〜35cm
2枚
スマ41cm
1本
EFC
吉見さん
グレ33〜36cm
3枚
イサギ33〜36cm
2枚
EFC
渡辺さん
グレ40cm
1枚
イサギ32〜37cm
6枚
EFC
板東さん
グレ33cm
1枚
イサギ36cm
1枚
EFC
福永さん
16番クジ
スベリ
グレ32〜37cm
4枚
イサギ25〜30cm
5枚
石田さん
17番クジ
落ち
グレ33〜38cm
5枚
橋本さん
グレ31〜36cm
4枚
イサギ26〜27cm
2枚
福田さん


































