第一進丸
12/13釣果
本日も飯岡港より1号船、2号船ともにヒラメ釣りに出船。
<1号船>
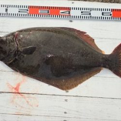
大板2枚上がる、75cm、5.8kg、次4.2kg。
エサをたっぷり食べて丸々と太った
肩肉の盛り上がった幅広の特肉厚東京ドーム型
0.5~5.8kg、0~7枚、次5枚、、、
小ソゲ極わずかで、お刺身に十分なヒラメが揃って釣り上り
良大型も数多く上りました。
<2号船:仕立て船>
0.4~3.3kg、0~3枚。
オデコのお客さもアタリ、バラシで、イナダ、ハタを釣り上げられ
他、大型のバラシも有りました。
おもてなし、として船宿から、
全員に船宿仕掛け&『船長賞・船長厳選の竿』をプレゼント
させていただきました。
終日潮流れず、風も無く、したがって船の流れも悪く、
数は伸びませんでしたが、
潮色良く、イワシの反応も有り、先につながる釣況でした。
明日もヒラメ釣りに出船。
空きがたくさんありますので、
ご予約をお待ち申し上げております。






































