小樽港遊漁船SHAKE
12月9日~12日ヒラメ小樽遊漁船シェイク
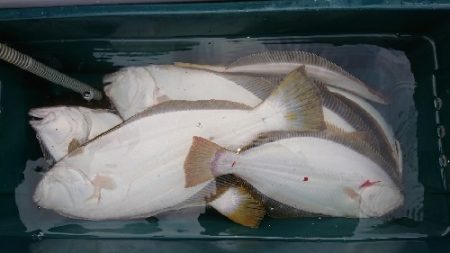
12月9日~12日ヒラメ
ちょいと釣果ブログをため過ぎましたm(__)m
9日(水)
船の流れも良くコツコツと・・・・・!!
最大63センチ!!
59センチ!!2枚含み10枚!!
竿頭は、50センチ台6枚含み11枚!!
船中61枚!!その他、リリース2枚竿頭11枚!!最大63センチ!!50センチ台15枚!!
10日(木)
竿頭は7枚!!
船中29枚!!その他、リリース3枚竿頭7枚!!最大54センチ位!!50センチ台5枚!!
11日(金)
最大60センチ!!
船中23枚!!竿頭6枚!!最大60センチ!!50センチ台3枚!!
12日(土)
今日も良い感じに船が流れコツコツ、ぽつぽつと・・・
3人グループは、皆さん仲良く60センチをGET!!
50センチ台を数枚GET!!
ヒラメもらったぞ~!!(50センチ位)
この時期のヒラメは、1枚くらいは、食べたかったので、有難うございま~す。
船中48枚!!その他、リリース2枚竿頭10枚!!最大60センチ!!3枚!!50センチ台15枚!!サイズは、様々な感じです。
出港予定カレンダーの方は常時更新しておりますので、チェックしてみてくださいm(u_u)m<imgwidth=”16″height=”16″class=”emoji”style=”aspect-ratio:16/16;”alt=”ダウン”src=”https://stat.ameba.jp/blog/ucs/img/char/char2/175.gif”><imgwidth=”16″height=”16″class=”emoji”style=”aspect-ratio:16/16;”alt=”ダウン”src=”https://stat.ameba.jp/blog/ucs/img/char/char2/175.gif”>&lt;imgwidth=”16″height=”16″class=”emoji”style=”aspect-ratio:16/16;”alt=”ダウン”src=”https://stat.ameba.jp/blog/ucs/img/char/char2/175.gif”&gt;&amp;lt;imgwidth=”16″height=”16″class=”emoji”style=”aspect-ratio:16/16;”alt=”ダウン”src=”https://stat.ameba.jp/blog/ucs/img/char/char2/175.gif”&amp;gt;&amp;amp;lt;imgwidth=”16″height=”16″class=”emoji”style=”aspect-ratio:16/16;”alt=”ダウン”src=”https://stat.ameba.jp/blog/ucs/img/char/char2/175.gif”&amp;amp;gt;&amp;amp;amp;lt;imgwidth=”16″height=”16″class=”emoji”style=”aspect-ratio:16/16;”alt=”ダウン”src=”https://stat.ameba.jp/blog/ucs/img/char/char2/175.gif”&amp;amp;amp;gt;&amp;amp;amp;amp;lt;imgwidth=”16″height=”16″class=”emoji”style=”aspect-ratio:16/16;”alt=”ダウン”src=”https://stat.ameba.jp/blog/ucs/img/char/char2/175.gif”&amp;amp;amp;amp;gt;&amp;amp;amp;amp;amp;lt;imgwidth=”16″height=”16″class=”emoji”style=”aspect-ratio:16/16;”alt=”ダウン”src=”https://stat.ameba.jp/blog/ucs/img/char/char2/175.gif”&amp;amp;amp;amp;amp;gt;&amp;amp;amp;amp;amp;amp;lt;imgwidth=”16″height=”16″class=”emoji”style=”aspect-ratio:16/16;”alt=”ダウン”src=”https://stat.ameba.jp/blog/ucs/img/char/char2/175.gif”&amp;amp;amp;amp;amp;amp;gt;&amp;amp;amp;amp;amp;amp;amp;lt;imgwidth=”16″height=”16″class=”emoji”style=”aspect-ratio:16/16;”alt=”ダウン”src=”https://stat.ameba.jp/blog/ucs/img/char/char2/175.gif”&amp;amp;amp;amp;amp;amp;amp;gt;&amp;amp;amp;amp;amp;amp;amp;amp;lt;imgwidth=”16″height=”16″class=”emoji”style=”aspect-ratio:16/16;”alt=”ダウン”src=”https://stat.ameba.jp/blog/ucs/img/char/char2/175.gif”&amp;amp;amp;amp;amp;amp;amp;amp;gt;&amp;amp;amp;amp;amp;amp;amp;amp;amp;lt;imgwidth=”16″height=”16″class=”emoji”alt=”ダウン”src=”https://stat.ameba.jp/blog/ucs/img/char/char2/175.gif”&amp;amp;amp;amp;amp;amp;amp;amp;amp;gt;出港予定カレンダーカレンダーの空白の日は募集中です!(見づらくなるので空白にしてあります)
初挑戦はSHAKEで!丁寧、親切、やさしく、教えますf^_^;(竿、リールのレンタルもあります)
初心者さん、平日出港大歓迎です!!!m(__)m ご予約状況は↓下記を↓ SHAKEホームページからご確認下さい! 出港時間はお問い合わせください。
小樽港つり船シェイク[email protected] (メールは携帯電話からお願い致します)ぽちっとあなたの1日1回ぽちっとでブログのランキングがUPするので宜しくお願い致します<imgwidth=”17″height=”28″class=”emoji”style=”width:17px;height:28px;aspect-ratio:17/28;”alt=”ダウン”src=”https://stat.ameba.jp/blog/ucs/img/char/char2/175.gif”><imgwidth=”17″height=”28″class=”emoji”style=”width:17px;height:28px;aspect-ratio:17/28;”alt=”ダウン”src=”https://stat.ameba.jp/blog/ucs/img/char/char2/175.gif”>&lt;imgwidth=”17″height=”28″class=”emoji”style=”width:17px;height:28px;aspect-ratio:17/28;”alt=”ダウン”src=”https://stat.ameba.jp/blog/ucs/img/char/char2/175.gif”&gt;&amp;lt;imgwidth=”17″height=”28″class=”emoji”style=”width:17px;height:28px;aspect-ratio:17/28;”alt=”ダウン”src=”https://stat.ameba.jp/blog/ucs/img/char/char2/175.gif”&amp;gt;&amp;amp;lt;imgwidth=”17″height=”28″class=”emoji”style=”width:17px;height:28px;aspect-ratio:17/28;”alt=”ダウン”src=”https://stat.ameba.jp/blog/ucs/img/char/char2/175.gif”&amp;amp;gt;&amp;amp;amp;lt;imgwidth=”17″height=”28″class=”emoji”style=”width:17px;height:28px;aspect-ratio:17/28;”alt=”ダウン”src=”https://stat.ameba.jp/blog/ucs/img/char/char2/175.gif”&amp;amp;amp;gt;&amp;amp;amp;amp;lt;imgwidth=”17″height=”28″class=”emoji”style=”width:17px;height:28px;aspect-ratio:17/28;”alt=”ダウン”src=”https://stat.ameba.jp/blog/ucs/img/char/char2/175.gif”&amp;amp;amp;amp;gt;&amp;amp;amp;amp;amp;lt;imgwidth=”17″height=”28″class=”emoji”style=”width:17px;height:28px;aspect-ratio:17/28;”alt=”ダウン”src=”https://stat.ameba.jp/blog/ucs/img/char/char2/175.gif”&amp;amp;amp;amp;amp;gt;&amp;amp;amp;amp;amp;amp;lt;imgwidth=”17″height=”28″class=”emoji”style=”width:17px;height:28px;aspect-ratio:17/28;”alt=”ダウン”src=”https://stat.ameba.jp/blog/ucs/img/char/char2/175.gif”&amp;amp;amp;amp;amp;amp;gt;&amp;amp;amp;amp;amp;amp;amp;lt;imgwidth=”17″height=”28″class=”emoji”style=”width:17px;height:28px;aspect-ratio:17/28;”alt=”ダウン”src=”https://stat.ameba.jp/blog/ucs/img/char/char2/175.gif”&amp;amp;amp;amp;amp;amp;amp;gt;&amp;amp;amp;amp;amp;amp;amp;amp;lt;imgwidth=”17″height=”28″class=”emoji”style=”width:17px;height:28px;aspect-ratio:17/28;”alt=”ダウン”src=”https://stat.ameba.jp/blog/ucs/img/char/char2/175.gif”&amp;amp;amp;amp;amp;amp;amp;amp;gt;&amp;amp;amp;amp;amp;amp;amp;amp;amp;lt;imgwidth=”17″height=”28″class=”emoji”style=”width:17px;height:28px;”alt=”ダウン”src=”https://stat.ameba.jp/blog/ucs/img/char/char2/175.gif”&amp;amp;amp;amp;amp;amp;amp;amp;amp;gt; <imgwidth=”88″height=”31″style=”aspect-ratio:88/31;”alt=”釣りブログヒラメ釣りへ”src=”https://img-proxy.blog-video.jp/images?url=http%3A%2F%2Ffishing.blogmura.com%2Fhirameturi%2Fimg%2Fhirameturi88_31.gif”border=”0″><imgwidth=”88″height=”31″style=”aspect-ratio:88/31;”alt=”釣りブログヒラメ釣りへ”src=”https://img-proxy.blog-video.jp/images?url=http%3A%2F%2Ffishing.blogmura.com%2Fhirameturi%2Fimg%2Fhirameturi88_31.gif”border=”0″>&lt;imgwidth=”88″height=”31″style=”aspect-ratio:88/31;”alt=”釣りブログヒラメ釣りへ”src=”https://img-proxy.blog-video.jp/images?url=http%3A%2F%2Ffishing.blogmura.com%2Fhirameturi%2Fimg%2Fhirameturi88_31.gif”border=”0″&gt;&amp;lt;imgwidth=”88″height=”31″style=”aspect-ratio:88/31;”alt=”釣りブログヒラメ釣りへ”src=”https://img-proxy.blog-video.jp/images?url=http%3A%2F%2Ffishing.blogmura.com%2Fhirameturi%2Fimg%2Fhirameturi88_31.gif”border=”0″&amp;gt;&amp;amp;lt;imgwidth=”88″height=”31″style=”aspect-ratio:88/31;”alt=”釣りブログヒラメ釣りへ”src=”https://img-proxy.blog-video.jp/images?url=http%3A%2F%2Ffishing.blogmura.com%2Fhirameturi%2Fimg%2Fhirameturi88_31.gif”border=”0″&amp;amp;gt;&amp;amp;amp;lt;imgwidth=”88″height=”31″style=”aspect-ratio:88/31;”alt=”釣りブログヒラメ釣りへ”src=”https://img-proxy.blog-video.jp/images?url=http%3A%2F%2Ffishing.blogmura.com%2Fhirameturi%2Fimg%2Fhirameturi88_31.gif”border=”0″&amp;amp;amp;gt;&amp;amp;amp;amp;lt;imgwidth=”88″height=”31″style=”aspect-ratio:88/31;”alt=”釣りブログヒラメ釣りへ”src=”https://img-proxy.blog-video.jp/images?url=http%3A%2F%2Ffishing.blogmura.com%2Fhirameturi%2Fimg%2Fhirameturi88_31.gif”border=”0″&amp;amp;amp;amp;gt;&amp;amp;amp;amp;amp;lt;imgwidth=”88″height=”31″style=”aspect-ratio:88/31;”alt=”釣りブログヒラメ釣りへ”src=”https://img-proxy.blog-video.jp/images?url=http%3A%2F%2Ffishing.blogmura.com%2Fhirameturi%2Fimg%2Fhirameturi88_31.gif”border=”0″&amp;amp;amp;amp;amp;gt;&amp;amp;amp;amp;amp;amp;lt;imgwidth=”88″height=”31″style=”aspect-ratio:88/31;”alt=”釣りブログヒラメ釣りへ”src=”https://img-proxy.blog-video.jp/images?url=http%3A%2F%2Ffishing.blogmura.com%2Fhirameturi%2Fimg%2Fhirameturi88_31.gif”border=”0″&amp;amp;amp;amp;amp;amp;gt;&amp;amp;amp;amp;amp;amp;amp;lt;imgwidth=”88″height=”31″style=”aspect-ratio:88/31;”alt=”釣りブログヒラメ釣りへ”src=”https://img-proxy.blog-video.jp/images?url=http%3A%2F%2Ffishing.blogmura.com%2Fhirameturi%2Fimg%2Fhirameturi88_31.gif”border=”0″&amp;amp;amp;amp;amp;amp;amp;gt;&amp;amp;amp;amp;amp;amp;amp;amp;lt;imgwidth=”88″height=”31″style=”aspect-ratio:88/31;”alt=”釣りブログヒラメ釣りへ”src=”https://img-proxy.blog-video.jp/images?url=http%3A%2F%2Ffishing.blogmura.com%2Fhirameturi%2Fimg%2Fhirameturi88_31.gif”border=”0″&amp;amp;amp;amp;amp;amp;amp;amp;gt;&amp;amp;amp;amp;amp;amp;amp;amp;amp;lt;imgwidth=”88″height=”31″alt=”釣りブログヒラメ釣りへ”src=”https://img-proxy.blog-video.jp/images?url=http%3A%2F%2Ffishing.blogmura.com%2Fhirameturi%2Fimg%2Fhirameturi88_31.gif”border=”0″&amp;amp;amp;amp;amp;amp;amp;amp;amp;gt;




























