磯部釣船 直栄丸
11日伊良湖沖の泳がせ釣り
鈴村さんらの釣行です。
ハンマーヘッドシャークがやたら多かったですが、今日終始順調にアタリが出ました。
後半は深場のポイントでワラサ連発!
大ダイの顔も見えました。
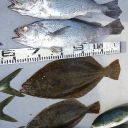
大本命のヒラメは2匹!ニベも釣れました。
全体釣果
私的には「今日はよく釣れた。」と思いますが・・
お客さんはどう感じたのかな?ヒラメが少なかったから「釣れない」って思っただろうか?
青物やサメが多いのでオマツリ多発でしたが、修復も早く上手に釣って下さいました。
ベタなぎの海でアタリも多く、楽しんで頂けたんじゃないでしょうか?
お疲れ様でした。
ありがとうございました。


















