第一進丸
12/06釣果
本日も飯岡港より1号船、2号船ともにヒラメ釣りに出船。
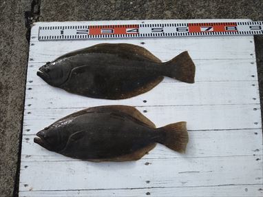
<1号船>
0.4~3.1kg、0~7枚、次6枚、5枚、、、オデコが消えず残念。
良型数上り、ソゲも肉厚のお刺身に十分なサイズが釣り上がりました。
他、カサゴ、
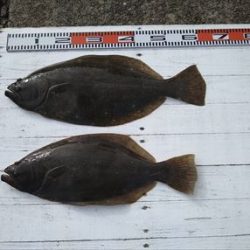
<2号船>
0.4~3.4kg、次3.1kg、0~5枚、
4枚が2人、3枚が多数、、、オデコのお客様もアタリ、バラシ多数。
他、77cmスズキ、イナダ、カサゴも上がる。
明日は7日(月)、は臨時休業、8(火)は月に1度の定休日
9日(水)よりヒラメ釣りに出船。
空きがたくさんありますので、
ご予約をお待ち申し上げております。




































