磯部釣船 直栄丸
2日大山沖のウタセマダイ
稲熊さんらの釣行です。
「大山沖」希望!了解!
エサ取りとの戦いでした。
仕掛け投入後、数分も持たない凄まじいエサ取り。
そんな中、慣れた手付きで手返し良くやって下さったメンバーさん。
その甲斐あって・・
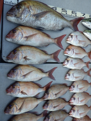
いろんな魚が釣れました。
久々に70センチの大ダイも登場
稲熊さんお見事でした。
大アジやハタ類も釣れました。
後で思ったのですが、オオモンハタが釣れるのにカサゴが1匹も釣れない?不思議。
イナダが喰うと思ってたのにそれも1匹も釣れず、ワラサ2匹。
でも、マダイにチダイが釣れ、お土産は出来ました。
稲熊さん「船長、そこそこ釣れたんで気持ちが楽になったでしょ。」って・・
「そのとーり」釣れるか心配でしたが、助かりました(笑)
作戦成功!ですね。
お疲れ様でした。
ありがとうございました。


















