磯部釣船 直栄丸
12日伊良湖沖のウタセマダイ
匿名Aさんの単独釣行です。
エビが真水で死んじゃうんじゃないかと用心し、心配してましたが、昨日より随分落ち着き普通に大丈夫でした。
あれだけ雨水が流れ出してたのに一夜である程度回復する・・やっぱり海は大きいし凄い!
今日は順調に釣れ、下げ潮の緩み~満ち潮の潮バナ(ソコリ潮騒潮)にはラッシュ的ジアイもありました。
Aさん、トリプルもあり「早々に満足!」
早い段階でお土産出来たんで、余裕で(笑)話に華を咲かせながら、私と二人で釣りを楽しみました。
天候もこれぞ秋って言う感じの日で、最高の釣りだったんじゃないでしょうか!?
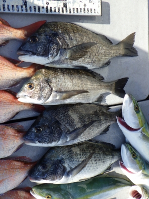
釣果
マダイ51センチ頭31匹
クロダイ4匹
イナダ9匹
赤、黒、青と三色揃いました!
お一人様分です!!
大漁満足
お疲れ様でした。
ありがとうございました。




















