第一進丸
10/04釣果
本日も飯岡港より1号船ヒラメ釣り、2号船ひとつテンヤに出船。
<1号船>
大板絡み2枚上がる、78cm、3.9kg。次3.8kg。
特肉厚東京ドーム型。
0.5~3.9kg、トップ10枚、次6枚が2人、、、オデコ1人。
2kg以上が6枚と良大型混じりに数も釣れ上がり、良い模様です。
他、カンパチ、クロソイ、マハタも上がる
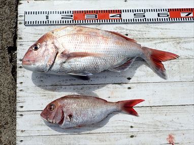
<2号船>
ひとつテンヤに出船。
大鯛3尾、中鯛1尾上がる。
0.5~3.4kg、0~3尾。
特大のヒラメも上り、他に大鯛クラスのバラシも多数有り、
大型が釣れ上がりました。
他、ホウボウ、イナダ、ハナダイ、も上がる。
明日もヒラメ釣りに出船。
ご予約少なく、空きがたくさんありますので、
ご予約をお待ち申し上げております。












































