船基本情報
| 船名 | 磯部釣船 直栄丸 |
|---|---|
| 都道府県 | 愛知 |
| 場所 | 片名漁港 Google Map |
| ホームページ | http://naoeimaru.com/top.html |
| ブログ | http://naoeimaru01.blog56.fc2.com/ |
| 電話番号 | 0569-63-0824 090-8867-3768 |
| ジャンル | エサ |
磯部釣船 直栄丸
Loading...
いいねしたユーザー(件)
釣行日
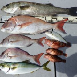
2020-09-18
時間
日中
天気
--
気温
--
潮
大潮
釣果
シーバス,イナダ(ハマチ),マダイ
釣り方
その他エサ釣り














