第一進丸
09/10釣果
本日も飯岡港よりヒラメ釣りに出船。
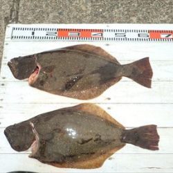
大板上がる。74cm、4.1kg。
肩肉の盛り上がった特肉厚東京ドーム型
0.4~4.1kg。0~8枚、オデコは船酔い
他は、3~8枚。次7枚、6枚が2人。
小ソゲは4尾のみで、
他は0.6から上の肉厚のヒラメが数釣れ上がり
釣られたお客様全員が1kg以上のヒラメを釣り上げられました。
他、2.5kgヒラマサ、2kgマハタが2尾、真カサゴ、
イナダ、ワカシ、クロソイも上がる。
明日もヒラメ釣りに出船。
空きがたくさんありますので、
ご予約をお待ち申し上げております。
週末、12日、13日共に空きがたくさんありますので、
ご都合のつくお客様
ご予約をお待ち申し上げております。






























