第一進丸
08/09釣果
本日も飯岡港より1号船、2号船ともにヒラメ釣りに出船。
<2船の釣果>
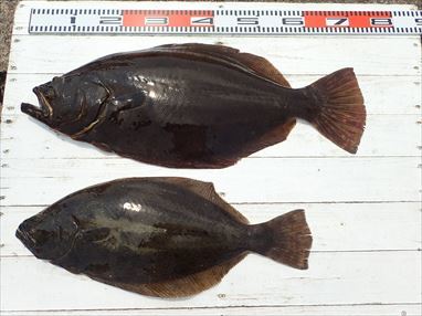
大板、大板絡みで2枚上がる、72cm、4.2kg、次3.8kg、3kg以上が4枚。
いずれも、幅広の丸々と太って、肩肉の盛り上がった特肉厚東京ドーム型。
0.5~4.2kg、0~6枚、次5枚、2枚以上が数多く、
ソゲも肉厚のお刺身に十分なサイズのヒラメが本日も揃って釣り上がりました。
オデコのお客様も大型のカサゴ、イナダと釣り上げられ、
他、大ニベ、特大のマゴチも釣り上がる。
明日もヒラメ釣りに出船。
空きがたくさんありますので、ご予約をお待ち申し上げております。
お盆中8月11日~16日まで
大変空いておりますので、
ご都合のつくお客様は、是非お出かけ下さい


































