第一進丸
07/29釣果
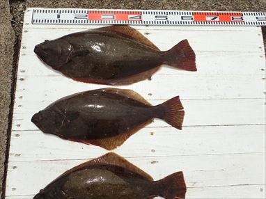
本日も飯岡港よりヒラメ釣りに出船。
大板上がる、70cm、4.0kg。
肩肉の盛り上がった幅広の特肉厚東京ドーム型。
1~6枚、6枚が2人、次4枚、、、1枚は2人。
2kg以上の良型を3枚釣られたお客さもおられ、
皆さん1kg以上のヒラメを釣り上げられ、
ニコニコ笑顔でお帰り頂けました。
他、1kgクロソイ、80cmスズキ、も上がる。
明日もヒラメ釣りに出船。
空きがたくさんありますので、
ご予約をお待ち申し上げております。
8月1日(土)2日(日)、2日間ともにご予約少なく、
ご都合のつくお客様は、空きがたくさんありますので、
ご予約をお待ち申し上げております。


























