第一進丸
07/21釣果
本日も飯岡港よりヒラメ釣りに出船。
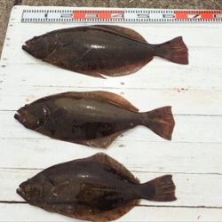
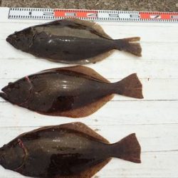
大板2枚上がる、70cm、4.1kg。4.0kg
肩肉の盛り上がった幅広の特肉厚東京ドーム型
次67cm、66cm、63cm、62cm、61cm、60cm、59cm、、、
0.6~4.1kg。0~8枚。トップ8枚、次6枚が2人
3kg絡みから上が7枚
ソゲは数尾とわずかで1kgからの良大型が8割を数え
数も型も揃って釣り上がりました。
明日もヒラメ釣りに出船。
ご予約4名様です。
空きがたくさんありますので、
ご予約をお待ち申し上げております。
23日からの4連休、空きがたくさんありますので、
ご予約をお待ち申し上げております。












































