船基本情報
| 船名 | 第一進丸 |
|---|---|
| 都道府県 | 千葉 |
| 場所 | 飯岡港 Google Map |
| ホームページ | http://shinmaru01.com/ |
| ブログ | http://1sinmaru.blog109.fc2.com/ |
| 電話番号 | 0479-57-6668 |
| ジャンル | エサ |
第一進丸
Loading...
いいねしたユーザー(件)
釣行日
2020-07-18
時間
日中
天気
--
気温
--
潮
中潮
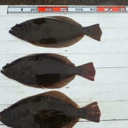
釣果
ヒラメ
釣り方
泳がせ・のませ


































