船基本情報
| 船名 | 弘福丸 |
|---|---|
| 都道府県 | 広島 |
| 場所 | 草津港 Google Map |
| ホームページ | https://kouhukumaru.web.fc2.com/ |
| ブログ | http://blog.livedoor.jp/jigjigman/ |
| 電話番号 | 090-4800-3869 |
| ジャンル | ルアー |
弘福丸
Loading...
いいねしたユーザー(件)
釣行日
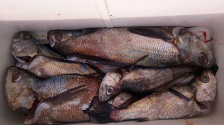
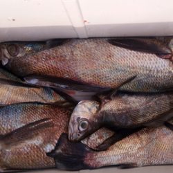
2020-05-17
時間
日中
天気
晴れ
気温
快適
潮
中潮
釣果
イナダ(ハマチ),マダイ
釣り方
ジギング,タイラバ(鯛ラバ)・テンヤ


























