※現地に釣り禁止の看板のある場所や、釣り禁止エリアでの釣行、路上駐車・ゴミ放置などの迷惑行為はお控え下さい。
※釣行の際は、必ずライフジャケットを着用下さい。
ななしさん
Loading...
いいねしたユーザー(件)
釣行日
2020/4/17
時間
朝
天気
晴れ
気温
やや寒い
潮
長潮
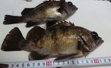
釣果
メバル20~23センチ3匹
ガシラ多数
タックル
ロッドアジメバル76
釣り方
メバリング
















