磯部釣船 直栄丸
16日大山沖の泳がせ釣り
匿名さんらの釣行です。
最近の状況や釣果を参考に、作戦会議。
「今日が一番動かない潮廻りなので、湾口では昨日と状況はあまり変わらない・・」そう読んで
「大山沖」を選択。
大山沖は、西から東へゆっくり流れる良い潮でした。
深場の70メートルラインを隅々隈なく、ほうきで掃くが如くに探ってみました。
良いアタリが出たのは2回。
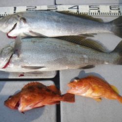
それが、65センチの大ニベ
後は、カサゴとサバフグヒラメなのか?噛み後が数回。
条件は良かったと思いますが、魚のやる気が全く無い感じ。
今まで釣った事が無い大ニベが釣れて「ヤッター」とおっしゃって下さいましたが
今日も非常に厳しい釣行となってしまいました。
「大山沖」夢はあるけれど、砕け散った帰り道は更に家路が遠く感じられたのは私だけだったでしょうか?
お疲れ様でした。
ありがとうございました。














