タイラバ遊漁船 ワンピース
釣果報告です!
最新情報ネクタイヒットカラー 松岡スペシャルアルファ―と松岡スペシャルX50mm(新製品✨) パ―ルオレンジ、オレンジ形状 カーリー巻きスピード 普通巻き
釣果報告です!
とても暖かくなってきました!
調子が良いときは、真鯛10枚以上釣れますね✨
どんどん釣果もあがってきました!
場所によりますが、少しずつのっこみが始まりそうです。
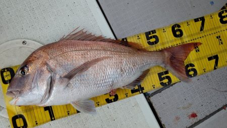
68センチ
大きいメス真鯛をお客様からもらいました❗
早速開いてみると、、
まだ小さいですが、まこがありました!
家族でおいしく頂きました
これからどんどん大きくなりますよ✨
フォ―スヒットもでるときも‼️
深場も狙うため、タイラバ80gも用意していただけると釣りやすいかと思います
ベイトはミミイカです。
水面にもイカナゴがたくさんついてました❗
真鯛もたくさん捕食のために動いてますね
さあ、楽しみましょう❗
松岡スペシャルシリーズはネット販売しております。 また、店頭に並ばせて頂ける釣具店様を大募集しております ご依頼やご質問は、松岡まで TEL090-9451-0648 よろしくおねがいします❗ 松岡スペシャル特設ページ開設しました!! 松岡スペシャル通販開始しました。 松岡スペシャルの店頭販売店 ✨NEW✨フィッシングエイト京都伏見さま(京都府)フィッシングエイト本店さま(大阪府)フィッシングエイトアネックスさま(大阪府)フィッシングエイト大阪南店さま(大阪府) フィッシングエイト玉津店さま(兵庫県) つり具の上州屋藤枝店さま(静岡県)つり具の上州屋浜松店さま(静岡県)つり具の上州屋浜北店さま(静岡県)つり具の上州屋京都右京店さま(京都府右京市)つり具の上州屋今治店さま(愛媛県今治市)つり具の上州屋マリンコンパニオン奈良橿原店さま(奈良県橿原市)釣具の上州屋宇和島店さま(愛媛県宇和島市) 釣り具のブンブンLINKSUMEDA店さま(大阪)釣り具のブンブン高井田店さま(大阪)釣り具のブンブン西昆陽店さま(大阪)釣り具のブンブン堺店さま(大阪) ジャンプワールド丸亀店さま(香川県丸亀市)ジャンプワールド今里店さま(香川県高松市) 藤本釣具さま(香川県高松市) 香西釣具さま(香川高松市) フィッシングタイガー坂出本店さま(香川県坂出市) オーシャン玉島店さま (岡山県倉敷市) まだまだ店頭販売していただけるお店様募集中です!! ネクタイ単体のみのご使用だと泳ぎが悪くなりますので、 専用の針付きユニットのご使用をおすすめします! 友達追加お願いします。 こちらを するだけで簡単に友達になります!!お得な情報や㊙情報、などなど配信しますので、よろしくお願いしますワンピースキャプテン松岡 ************************** 2号艇釣果はこちらhttps://ameblo.jp/byan0313/3号艇釣果はこちらhttps://ameblo.jp/onepiece-mahimahi/4号艇出船しています。都合により特定の週末だけ出船中です。スケジュールで確認の上、1号艇松岡まで連絡お願いします。スケジュールはこちらhttps://www.tai-raba.com/sch/index.html4号艇出船しています。都合により特定の週末だけ出船中です。スケジュールで確認の上、1号艇松岡まで連絡お願いします。スケジュールはこちらhttps://www.tai-raba.com/sch/index.html 詳しくはHPでhttp://www.tai-raba.com/access/index.html#okayamaお願い!!スパイラルガイドとPEラインの相性について。https://ameblo.jp/tai-raba/entry-12343875637.html 元祖フッキングタイラバ”松岡style” ヒット率フッキング率キャッチ率を上げるにはフッキングを推奨します”小さいあたりが続かない””ヒットしてもバラシが多い””乗せに飽きてきた”など。あなたもワンランク上のタイラバに挑戦してみませんか??(マスターすればかなり楽しいですよ!!)掛けタイラバは、アタリが出た瞬間の”ドキドキ”がたまりませんそのためには針の大きさ、セッティング、ドラグ設定などなど、沢山の工夫が必要です。伝授致します。また、掛けタイラバはRODの”絶対感度”がキモです。掛けタイラバに挑戦したい方はROD無料レンタルしますのでお申し出ください。(AGSK67HB-METAL有り〼)DAIWA掛けシリーズは水中の情報量が断然違いますあなたも掛けタイラバ挑戦してみませんか。カッコイイ~ですよっフッキングマスター挑戦者も超超募集中!詳しくはこちら。http://www.tai-raba.com/fm/index.html その他のフッキング動画はこちら↓
https://www.youtube.com/channel/UC2ykUYU6B8-7nCkQouv5xog
《DAIWA紅牙HP掲載中!!》ワンピース松岡キャプテン攻めの掛け釣法:http://www.daiwa-kohga.com/column.htmlワンピースお得情報 ※釣れた魚さばき”無料https://ameblo.jp/tai-raba/entry-12348663002.html※レンタルタックル”無料”※船長のレクチャー”無料” ※平日チャーター ”9000円お得”http://www.tai-raba.com/plan/index.html ※ワンピースステッカー”無料” ?よくある質問?FAQhttp://www.tai-raba.com/q/index.html 大鯛にチャレンジ!!70センチ以上の真鯛釣りあげた方”大鯛認定シール進呈”リリースをお願いしますねっ。(笑)<初心者大歓迎!瀬戸内海の真鯛を釣りに来てください!>
香川県高松市の鯛カブラ、鯛ラバ専門船
https://www.tai-raba.com/1nk/

































