ARCADIAⅡ (アルカディアⅡ)
甘鯛好調
アマラバ、サワラで出船。
ジュニアアングラー大健闘❗真鯛2、甘鯛7で竿頭㊗️、将来が楽しみ(笑)
お父ちゃんも負けてません(笑)
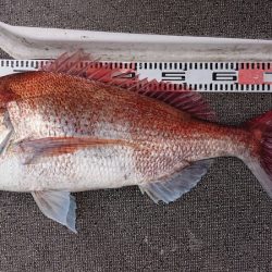
本命ですけど(笑)
こっちが大本命
ぼちぼちリールのメンテナンスですね。
バトル4位おめでとうございます㊗️
今日は控えめ(笑)
やっぱり手巻きでしょう(笑)
電撃フッキングはだめですよ(笑)
親子でパシャ❗
二人仲良く(笑)
アオハタ、ガシラ
久しぶりの出船でした。
前回撃沈をくらったので、今日は期待と不安が半分ずつ、
前半は当たりは少な目、ヤバイムード、
釣れるのは根魚ばかり、何処か居るはずやと
速いペースで移動を繰り返し、やっとポイント発見。
いい場所に入ると連発、真鯛やハマチも混ざり、
全員安打。
終わってみれば大漁でした。
サワラの方は感度は山くそありましたが、全く反応せず、ヒットしてもスレでした。
ベイトが多すぎなのかな?
サワラは又リベンジしましょう。
本日もありがとうございましたm(__)m
明日からメンテナンスでお休みです。
3、4、5、6、7日、メンテナンス休み8、7日、予備日11日、タイラバ7人乗り合い募集13日、満船15日、アマラバ、ヤリイカ2人乗り合い募集18日、アマラバ、サワラ4人乗り合い募集20日、アマラバ7人乗り合い募集21日、休み23日、タイラバ、アマラバ3人乗り合い募集27日、アマラバ6人乗り合い募集記載してない日は空いてます。080-6126-6300アルカディア2川端




































































































