釣友丸
2020年2月8日9日
各乗合7名様(マダイサビキ釣り釣果)
今週は、風が強い日が多く、あまり出船できませんでした。(汗)
8日は天候が回復しいざ出船!
開始早々釣れはじめましたが、すぐに失速・・・・。
その後、飽きない程度に釣れる感じで、型は良かったですが、数は伸びず、多い人で9枚でした。
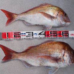
9日は、あるポイントで良型の群れに遭遇し、3連や4連で掛かる方もおられ、面白い釣りになりました。
70センチも2枚出て、50~60センチクラスも全員混じり、一時、同時ヒットするなど、入れ食いになったりして良かったです。d(^-^*)
ありがとうございました。
また今度のご予約ありがとうございます。m(__)m
船長のコメント
やっと水温も10度を切り、大型マダイも釣れ始めました。
どのポイントも、割と反応も良いので、スイッチが入れば爆釣することもあるでしょう。
今週は、天候も穏やかな感じで、連日出船予定です。
釣友丸釣法に必要な、タックルや、手作りオリジナル仕掛けも、無料レンタルでき、気軽に挑戦できます。
おすすめは、船の少ない平日がイチオシです。
お一人からでもお気軽にどうぞ。
ご予約、お問い合わせなどは、船長直通080-6319-3756までお気軽にどうぞm(__)m
今週は、2月13日(木)乗合5名空きがあります。
潮もいいのでよろしく。(*^-^*)


























