大幸丸
1月5日
3番クジ
ピストル
フカセ
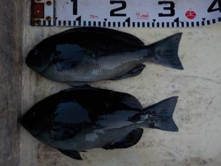
グレ34〜38cm
4枚
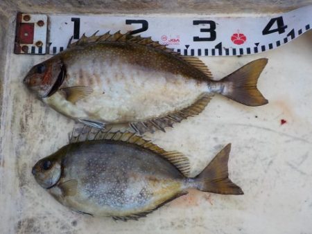
イサギ34cm
1枚
アイ34cm
1枚
淡路
打越さん
上り潮
19.9度
タニ
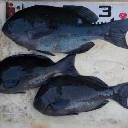
グレ32〜38cm
19枚
イサギ33〜36cm
4枚
徳島EFC
田中さん
沖ソエ
グレ32〜33cm
2枚
姫路
橋本さん
グレ33cm
1枚
イサギ31〜33cm
5枚
阿波市
岩脇さん
センコウテイ
グレ28〜35cm
3枚
曙潮会
岡田直也
マルバエ
アイ33〜36cm
3枚
犬伏
琉暉さん
地ソエ
イサギ33〜36cm
3枚
アイ33〜35cm
3枚
磯波会
青木さん
4番クジ
ウマノセ
グレ38cm
1枚
イサギ34cm
1枚
匿名さん
タワラ
グレ33〜35cm
3枚
TAISHIKAI
和田さん
ホリモン
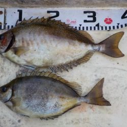
グレ35cm
1枚
イサギ32〜36cm
5枚
鳴門
大西さん
































