寿丸
2019年12月21日釣果情報
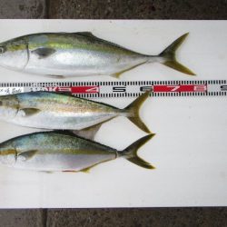
※2019年12月21日釣果情報 MATSUIさん ブリ88㎝(6,30㎏)、77㎝(4,65㎏)、ヒラス69㎝(3,20㎏・2,90㎏)2本、ヒラゴ68㎝(2,75㎏)、66㎝(2,27㎏)、65㎝(2,10㎏)を、小アジの泳がせ釣りで、釣られたそうです。良型ブリ88㎝、77㎝、ヒラス69㎝2本、ヒラゴ68㎝~65㎝3本、お見事でした。
森さん ブリ95㎝(7,40㎏)を、ショアジギングで釣られたそうです。良型ブリ95㎝、お見事でした。
濵﨑さん ブリ77㎝(4,40㎏)、ヒラゴ64㎝(2,55㎏)、63㎝(2,35㎏)を、小アジの泳がせ釣りで、釣られたそうです。ブリ77㎝、ヒラゴ64㎝、63㎝、お見事でした。
小アジの泳がせ釣りのお客様で、青物【ヒラゴ・ヒラス2,5kg~3㎏級】複数回ヒットしたそうなのですが、残念ながらバラシ【ライン瀬ズレ・すっぽ抜け】たそうです。次回、リベンジ、頑張られてください。 その他の磯瀬では、フカセ釣りのお客様は、クチブトクロ33㎝、30㎝、オナガクロ足裏サイズを、釣られたそうです。小ぶりの魚は、リリースされてました。 正午過ぎから雨が降る中、正午、正午過ぎ、最終まで皆さんお疲れ様でした。




















