※現地に釣り禁止の看板のある場所や、釣り禁止エリアでの釣行、路上駐車・ゴミ放置などの迷惑行為はお控え下さい。
※釣行の際は、必ずライフジャケットを着用下さい。
TAKA
Loading...
いいねしたユーザー(件)
釣行日
2019/11/1
時間
朝
天気
晴れ
気温
快適
潮
中潮
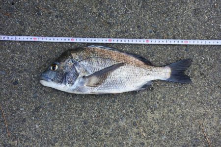
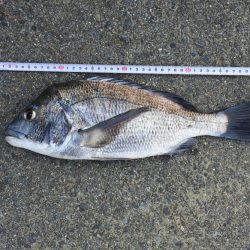
釣果
キス:10cm前後 3匹
クロダイ:42cm 1匹
ヒラメ:20cm 1匹
タックル
竿:サーフチェイサー425CX-T
リール:サーフリーダーCI4+ 35
道糸:ナイロン3号 錘:25号 ハリス:1.5号 針:キス専用6号 4本針
エサ:イシゴカイ
釣り方
投げ釣り






















