Aquanaut(アクアノート)
2019年10月2日
今日の少人数チャーター4名さま!!
朝一は、久しぶりに登場のトップ大好きKさんのメジロから始まり、
メジロ〜ハマチ・・・トップで入れ喰いで、メジロ〜ハマチサイズは、
カツオ船のように、引き抜いておられました・・・٩(ᐛ)و
何時もは、アミ入れ遅れると、ブリでも引き抜く・・・困ったお客さんです!!(笑)
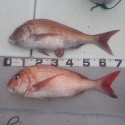
次のタイも、70cmオーバー2枚を筆頭に、良い感じで釣れました・・・(^_^)v
最後に美味しい物シリーズ(ヒラメ・イトヨリ・アコウ・レンコ多数)を追加して、
帰港とさせて頂きました!!
今日は、嵐(台風)の前の静けさで、心配していた雨にも降られず、穏やかな海上でしたが、
明日から台風の影響出そうですので、中止です。








































































