船基本情報
| 船名 | 小島丸 |
|---|---|
| 都道府県 | 大阪 |
| 場所 | 小島漁港 Google Map |
| ホームページ | http://koshimamaru.world.coocan.jp/sub1.html |
| ブログ | http://ameblo.jp/koshimamaru/ |
| 電話番号 | 080-8519-1090 072-495-0006 |
| ジャンル | エサ |
小島丸
Loading...
いいねしたユーザー(件)
釣行日
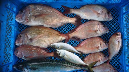
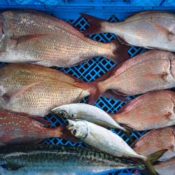
2019-07-20
時間
日中
天気
曇り
気温
--
潮
大潮
釣果
アジ,カサゴ(ガシラ)
釣り方
サビキ






































