船基本情報
| 船名 | RISKY |
|---|---|
| 都道府県 | 香川 |
| 場所 | 香川県三豊市詫間町詫間高谷港(ゴマジリ港) Google Map |
| ホームページ | http://www.fishingrisky.com/ |
| ブログ | http://ameblo.jp/risky4519/ |
| 電話番号 | 090-4979-9340 |
| ジャンル | ジギング、タイラバ、アオリイカ、タチウオ |
RISKY
Loading...
いいねしたユーザー(件)
釣行日
2019-07-14
時間
日中
天気
曇り雨
気温
--
潮
中潮
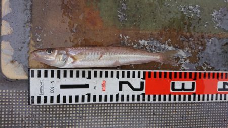
釣果
キス
釣り方
ちょい投げ


















