船基本情報
| 船名 | 泰丸 |
|---|---|
| 都道府県 | 福井 |
| 場所 | 色浜 Google Map |
| ホームページ | http://www.taimaru.jp/ |
| ブログ | http://www.taimaru.jp/fishingpost/ |
| 電話番号 | 0770-26-1722 |
泰丸
Loading...
いいねしたユーザー(件)
釣行日
2019-06-02
時間
日中
天気
曇り
気温
暑い
潮
大潮
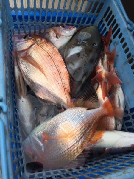
釣果
アジ,キジハタ(アコウ),マダイ,レンコダイ
釣り方
胴突き,天秤フカセ


























































