ARCADIAⅡ (アルカディアⅡ)
タイラババトル初日
2019-06-0115:28:11
タイラバで出船。
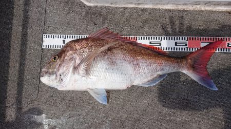
5,14kg、バトル暫定1位、おめでとうございます。
暫定1位だと思っていたら4,70kgで2位でした(笑)おめでとうございます。
午前中泣きそうでしたが、後半巻き返しで竿頭㊗️
3年ぶりの真鯛、自己新も更新㊗️
久しぶりの乗船で4枚、鈍ってないですね。
今日も集中してます(笑)
初タイラバでロクマル㊗️もぅ抜け出せない(笑)
青い子
美味しいの
今日は朝から鳥山、
感度の割には当たりが少なくヤバムード、
昼からは、ちょっと移動、
真鯛見つけました、真鯛さん、
このポイントは二枚潮きつくお祭り多かったですがナナマル連発。
タイラババトル初日、いい幕開けとなりました。
皆さんご参加お待ちしてます。
本日もありがとうございましたm(__)m
4、5、6、8、9日、満船3日、休み7日、タイラバ1人乗り合い募集12、13日、メンテナンス、休み15、16、17、21、22、23、26、29日、満船20日、タイラバ5人乗り合い募集24日、タイラバ5人乗り合い募集記載してない日は空いてます、お問い合わせ下さい。
タイラババトル開催中優勝賞金100000円
080-6126-6300アルカディア2川端
































































