船基本情報
| 船名 | 大雄丸 |
|---|---|
| 都道府県 | 兵庫(瀬戸内海) |
| 場所 | 須磨港 Google Map |
| ホームページ | http://www.daiyuumaru.com/ |
| ブログ | http://ameblo.jp/daiyuumaru/ |
| 電話番号 | 090-5068-7667 |
| ジャンル | ルアー |
大雄丸
Loading...
いいねしたユーザー(件)
釣行日
2019-05-31
時間
日中
天気
曇り
気温
--
潮
中潮
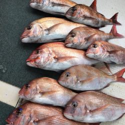
釣果
カサゴ(ガシラ),マダイ


























