千代丸
2019年05月05日
マダイ船・夜ヒラメ船
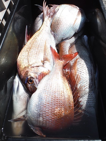
第二千代丸1日便マダイ出船マダイ1.0〜4.0キロ船中28枚
第二千代丸夜便ヒラメ出船ヒラメ1.3〜4.7キロ4人船中15枚
明日6日(月祝)もマダイ出船です。
乗っこみ期に入りましたので、5号12mもご用意下さい。
集合時間・出船時間 集合4時30分・出船5時00分です。
◆お知らせ◆平成31年4月より柏崎港所属遊漁船に定休日がございます。宜しくお願いします。5月は、7日(火)・8日(水)・14日(火)・21日(火)・28日(火)となります。
2018年から、ライフジャケットの着用が義務化となりました。 桜マークのないライフジャケットは、船上では使用できません。 ライフジャケットお持ちでない方は、船にあるものを着用して頂きます。 シマノ探見丸使用できます。
■現在の釣りもの■・1日便(8時間・・・沖あがりpm13:00)・午前ロング便(7時間・・・沖あがりpm12:00)・半日便(6時間・・・沖あがりpm11:00)マダイ(コマセ釣り)・・・通年出船中夜ヒラメ・・・活き餌使用(用意します)・オモリ80号
■出船予定■ご予約受付中!お気軽にお電話下さい(20時まで受付)出船は、3名さま集まり次第となります。(受付中)は、3名さまに満たない状態です。




















































