伊豆下田フィッシング
4/14(日)神子元島釣果情報です🎵✋😊❤️
Postedon2019年4月14日日曜日
お昼頃から南よりの風が吹いてくるという予報でしたが、1日凪で通常の磯上がりのお時間まで普通にできました✨✨
東北東からのウネリが多少ございましたが、神子元島の離れ磯は全てできました✨
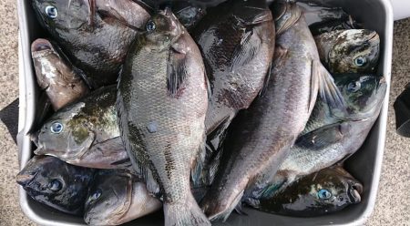
磯は、口太メジナ、尾長メジナ、イサキ、ブダイ、アオブダイ、タカベ等が釣れておりました✋❤️
大型尾長メジナのバラシありです✋
神子元島周りのオフショア(スロー)ジギングは、カンパチゲットならず✋
ハチビキ、アヤメカサゴ、カンコ、アカヤガラ、大サバ等で楽しめました✋
本日も皆さん、お疲れ様でした✋
神子元島周辺は青物(カンパチ、ヒラマサ、本カツオ、ビンチョウマグロ、ワラサ等)大回遊中です✨✨
ショア&オフショアどちらからも期待できますよ~✨✨
チャンスです✨
波っけのある日は、ヒラスズキも狙い目です✨✨
赤いお魚も狙い目です✨❤️
明日4/15(月)は予報悪く、神子元島、及び鵜渡根方面への出船はお休みとさせて頂きます❤️
また凪が良くなりましたら、何卒宜しくお願い致します






































































