磯部釣船 直栄丸
24日大山沖の泳がせ釣り
内田さんらの釣行です。
「湾口も低迷気味?みたいだから今回は大山沖まで足を延ばしてみましょうか?」との提案。
今日は風も凪ぎそうだから「行ってみますか!」と伊良湖岬を一路東へ。
ポイントは本船のみの広い海。
うねりがあったものの釣りに支障が無い程度。
開始早々、ヒラメ、マハタの魚信アリ。
人工漁礁なので、根掛かりはするもののそこは腕でカバーしながら、タマポツでマハタ、カサゴメインで釣れる!
終始そんな感じでポツリポツリ。
うねりがあった分、喰い込みが悪かった様子でしたが、大山沖の泳がせ五目釣りを楽しんで頂けました。
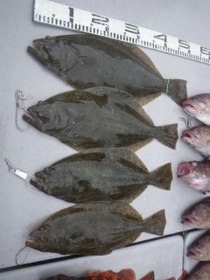
全体釣果
ヒラメ42~50センチ4匹
マハタ30~39センチ13匹
カサゴ39センチ頭8匹、アヤメカサゴ2匹
マトウダイ2匹でした。
みなさん竿先に集中して、上手くアタリをとらえて釣って下さいました。
今日は作戦成功!?だったんじゃないでしょうか。
天候に大きく左右されますが、「大山沖の泳がせ釣り」アタリが多い分楽しめそうですね。
お疲れ様でした。
ありがとうございました。
P.S.3名様集まって下されば乗り合いでも出船致します!




















