伊豆下田フィッシング
2/23(土)神子元島釣果情報です🎵✋😊❤️
Postedon2019年2月23日土曜日
前半は北東風が強く吹きました✋
それでも磯上がりの時間に掛けて段々と収まって参りました✋❤️
潮は、上り潮→下り潮でした✋
水温も前日同様に15℃台で安定しておりました✋
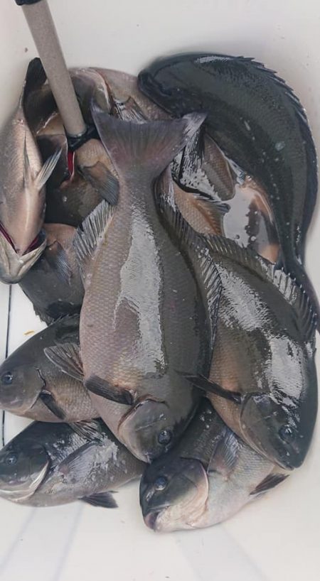
磯は、口太メジナ、尾長メジナ、アオブダイ、イサキ、タカベ等が釣れておりました✋❤️
本日も大型のバラシありです✋
良型の尾長メジナがまわっております☝️✨
それなりのタックルで挑んでみて下さい
場所によっては口太メジナよりも尾長メジナが多い所もございました✨✨
本日も皆さん、お疲れ様でした
明日2/24(日)も神子元島へ出船致します
何卒宜しくお願い致します❤️




























