寿丸
2019年2月15日釣果情報
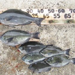
※2019年2月15日釣果情報 宮崎さん 【M】ポイント瀬で、クチブトクロ44,5㎝(1,52㎏)、良型37,5㎝(1,10㎏)、35㎝~32㎝を、フカセ釣りで釣られたそうです。その他、クチブトクロ30㎝~足裏サイズも釣られたそうですが、リリースされたそうです。クチブトクロ良型44,5㎝、お見事でした。
写真は、ご遠慮しますとの事でしたので、コメントだけ記載します。真鯛50㎝~45㎝、クチブトクロ43㎝級を、フカセ釣りで釣られたそうです。その他、小鯛も沢山、釣られたそうですが、リリースされたそうです。真鯛50㎝級、クチブトクロ43㎝級、お見事でした。
その他の磯瀬では、フカセ釣りのお客様は、真鯛40㎝級、小鯛、チヌ45㎝~40㎝、平鯛(45㎝~40㎝級)、クチブトクロ38㎝、37㎝、35㎝、33㎝、30㎝、オナガクロ37㎝、34㎝、足裏サイズを釣られたそうです。尚、足裏サイズは、リリースされたそうです。 フカセ釣りのお客様で、良型クチブトクロ【40㎝~45㎝級・・・】数回(5回)ヒットしたそうなのですが、すっぽ抜け、瀬ズレで、残念ながらバラシたそうです。次回、リベンジ、頑張られてください。 正午前から、時々雨が降る中、正午過ぎ、最終まで皆さんお疲れ様でした。














