大幸丸
1月30日
5番クジ
ゾウノハナ
フカセ
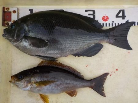
グレ33〜34cm
2枚
イサギ35〜37cm
3枚
姫路
河野さん
上り潮
〜
下り潮
表〜佐本
16,0
〜
17,2度
キバ
グレ43cm
1枚
イサギ32cm
1枚
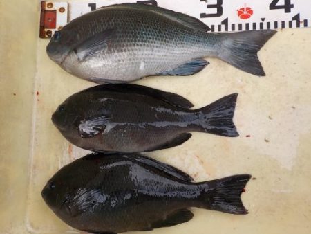
小松島
上田さん
まっちゃん
バエ
グレ30〜38cm
7枚
イシダイ43cm
1枚
徳島TFT
立石さん
10番クジ
ナデ
グレ32〜45cm
9枚
イサギ37cm
1枚
イシダイ38cm
1枚
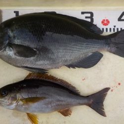
阿南
井内さん
ミッチャ
グレ34〜42cm
7枚
イサギ32〜35cm
3枚
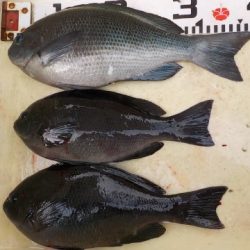
淡路
野口さん
エボシ
グレ34〜40cm
4枚
藍住
田中さん
グレ32〜37cm
4枚
イサギ34cm
1枚
徳島
黒済さん
エボシ地
グレ33〜37cm
3枚
淡路
弦牧さん




























