磯部釣船 直栄丸
28日伊良湖沖の泳がせ釣り(乗り合い)
ご予約ありましたが風強く休船続く中、今日はベタ凪の釣り日和となり、乗り合いにて出船しました。
昨日は「良く釣れた!」との情報がありましたが、今日は・・
山盛りのベイト反応はありましたが、アタリは遠かった。
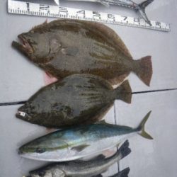
そんな中、釣りガールのさおりんが何と90センチの座布団ヒラメをGET!
7.6キロの大物に同乗者はもちろん、釣った本人もビックリ!!
何釣りに行っても釣っちゃうと言う「もってる!」彼女は
マタカもGETで竿頭でした。
「ただもんじゃねえ」認定。お見事でした。
70センチのヒラメを釣った川口さん
4キロの肉厚大ヒラメでしたが、「90センチが大き過ぎちゃいましたね」と苦笑い。
その他
サワラ95センチ
良いサワラでした。絶対美味い!
顔出しNGのよ○ちゃん
「今日はボウズかと思った」と帰り際30分前にブリ90センチをGET!
転んでもただでは起きない方ですわ(笑)
アタリ自体が少なかっただけに釣れなかった方も出てしまいましたが、冬には珍しい凪ぎの海で「喰えば大物」そんなワクワク度いっぱいの釣行でした。
お疲れ様でした。
ありがとうございました。
P.S.予約状況の「募集中」と書いてあるところは、仕立てでも乗り合いでもどちらでもお受け致します。
「乗り合い」と書いてあるところは既に乗り合い出船確定で、参加者募集中という意味です。
乗り合いは2名様から出船致しますのでお気軽にお問い合わせ下さい。
























