※現地に釣り禁止の看板のある場所や、釣り禁止エリアでの釣行、路上駐車・ゴミ放置などの迷惑行為はお控え下さい。
※釣行の際は、必ずライフジャケットを着用下さい。
のとじま臨海公園海づりセンター
Loading...
いいねしたユーザー(件)
釣行日
2019-01-12
時間
--
天気
--
気温
--
潮
小潮
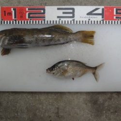
釣果
アイナメ,ウミタナゴ
釣り方
その他餌釣り














