船基本情報
| 船名 | 千宝丸 |
|---|---|
| 都道府県 | 広島 |
| 場所 | 坂埠頭 Google Map |
| ホームページ | http://www.kaizoku7200.com/index.html |
| ブログ | http://kaizoku7200.blog.jp/ |
| 電話番号 | 090-1182-8262 |
千宝丸
Loading...
いいねしたユーザー(件)
釣行日
2019-01-05
時間
日中
天気
曇り
気温
--
潮
大潮
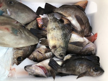
釣果
メバル,ウマヅラハギ
釣り方
胴突き






























