タイラバ遊漁船 ワンピース
12月下旬の釣果。
2018年12月25日
最新情報ネクタイヒットカラー 黒、赤、オレンジ形状 カーリー巻きスピード はや巻き
最近の釣果報告です
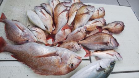
真鯛18枚 真鯛21枚 真鯛21枚 フグ 真鯛20枚 ハマチ 深場ポイントで釣れてます! 60回は、巻いてくださいね 足元で釣れるかも!? 中層で浮いてる餌を捕食しています あとは、たまに、はや巻きをするとリアクションで 食ってきます ネクタイは、カ―リ―タイプ一本付けの シンプルなほうがいいです!! 竿頭は、1人4、5枚釣っています。 頑張りましょう‼️
香川県高松市の鯛カブラ、鯛ラバ専門船




















