磯部釣船 直栄丸
15日伊良湖沖の泳がせ釣り&ジギング
エサ&ジグで出船!
伊良湖沖のヒラメポイントまで行ったのですが、「青物爆釣!」との情報が入りそっちへ急行。
ジギング船はラッシュ的な喰いだった様子。
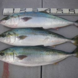
少人数の我々は、ジギングで2匹、エサで1匹のワラサが釣れたのみ。
その後ワラサポイント近くの、ヒラメポイントへ移動して泳がせ釣りをやってみたものの、水温が12度代まで下がってしまった影響なのか?
浅いポイントではそれらしいアタリが3回ほどあっただけでヒラメの顔見えず。
今日2回目のワラサジアイが来た!との情報を受け、また行こうと思いましたが、「今日はもう良いよ」とメンバーさんからのお言葉でした。
見ると既にお片付け終わってました(笑)
満足した!?とは思わなかったですが、寒さに負けた!?多分そうだと思います(笑)
今日はジギング船は大漁!エサ釣りでヒラメ狙いで張ってた船もそこそこ釣れたみたい。
本船はちょっと空かした感じになっちゃいましたが、狙いを定めジアイを待てばお土産は釣れそうな感じではありました。
冷たい風の中お疲れ様でした。
ありがとうございました。














