ヒスイさん
寒波が入り寒くなったので、水深7〜8mの深場で紀州釣りを試しました。
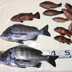
明るいうちはササノハベラ。
4投目には正体不明の大物がヒット!!僅か4秒でラインブレイクです。カンダイかな!?
日没後はクサフグとヒガンフグ。それにカサゴ。
18時半〜19時にかけて、立て続けに本命のチヌがヒットしました!!
寒い季節に嬉しい釣果。
ほくほくで家路につきました!
更に詳しい釣行記は下記よりアクセス!
http://hisui77.blog.fc2.com/blog-entry-407.html






















