新幸丸
28日マダイ釣果
NEW!2018年10月28日(日)16時59分21秒
10月28日日曜日
午前マダイ
ポイント、大原沖
水深、15~25メートル
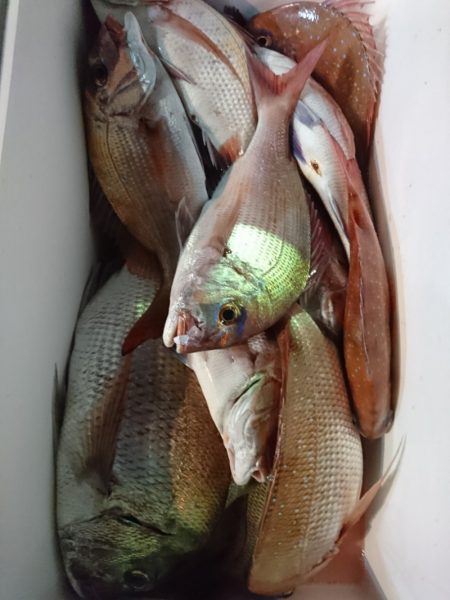
キロ数、0,3~1,3キロ
枚数、0~4枚
ゲスト、
ハナダイ、ハタ、イナダ
潮の流れ良かったが昨日のうねりが残り釣りずらかった、流すたびに型はありマダイの型良く中鯛クラスも2枚喰ったがバレた残念。(0は船酔い)
午後マダイ
大原沖
20メートル前後
キロ数、0.4〜3キロ
枚数、0〜9枚
ゲスト、ハタ、ガンゾウ、フグ
アタリ少なかったが潮よく流れ、喰えばほとんど鯛でサイズがよかったです。(0枚様1名様)
明日も午前マダイに出船いたします。
忘れ物本日、午前マダイに乗船していただきましたお客様の忘れ物です。










































