遊漁船 家入
はちまる様。
船長の家入です!
10月14日(日曜)今日は4名様と流して来ました!(^ー^)
風が吹かん予報が…
吹きます…(–;)
今日もタイラバ!巻き巻き頑張ります!(^ー^)
前半は朝イチに!おりましたばい!はちまる様!(^ー^)
ご無沙汰です…\(^o^)/
湯島沖は最高だぜ!(* ̄∇ ̄)ノ
次に。ごーまる様!
ちっと時間あき。ろくまる様!(^ー^)
続いて。ななまる様!(^ー^)
ごー! ろく! なな! はち! ピシャリ!(^^)v
前半に勢揃いにて…後半は…(/o\)
小鯛…アオハタ…ガラ様…と。メーター鮫…(..)
相変わらず…フグ様はお元気で…(ー_ー;)
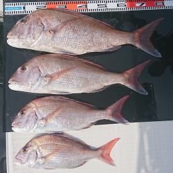
今日の釣果です。タイラバ2回目ではちまる様。お見事です!(^^)
渋いなかお疲れ様でした!
今日の仲良しです!(^ー^)
本日ご乗船ありがとうございました!m(__)mまたのお越しをお待ちしております!(^ー^)
10月の予約状況です。
後半の休日は空きです!ご乗船お待ちしております!(^ー^)
土日は協力船も出船しますのでご連絡下さい!
お問い合わせ等はホームページより確認お願い致します!m(__)mhttp://fishingboat-ieiri.com/


























