磯部釣船 直栄丸
2日大山沖のイシダイ釣り
「数より型狙いで大山沖へ行きたい」とのご要望の只腰さんと奥田さん。
「大山沖で良い思いをしたのが忘れられない!」
「それに、捨て竿でクエも狙いたい」
じゃあ行って見ますか!「夢とロマンを求めて」
エサ取りはほとんど無く、潮も緩く、全く待ちの釣り。
ポイントを変わりしばらくすると、1匹釣れるのですが、待っても待っても後が続かず・・
変わると、また1匹。
3回変わったので、計3匹。
喰いが良い時は、続けてパタパタっと喰って来るのですが、活性は低い様子。
もっとポイントをどんどん変わって行った方のが良かったのかも??
帰りながらそんな事も考えました。
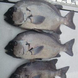
ただ、喰えば物は大きかった!
53、60、62センチ
「クチグロ」と呼ばれる雄が2匹です。
クエ狙いは・・・冷凍大サバをがぶりと喰われ、頭だけになってました。
アタリはそれ1回のみ。
多分、ウツボ君だと思われます。
「良型の顔見えたし満足!」お二人がそう言って下さったので、救われました。
帰り際、東の風が吹き始め、うねりも到達!
台風の影響が少し出始めたみたいです。
が、明日はまだ満ち潮メインの潮廻りと言う事もあり、出船出来そうです!
その後、また2~3日休みかな?
お客さんが納得出来るのであれば、お客さんが頭に描いたプランでの釣行も全然応援させて頂きますよ。
思わぬ釣果や発見があるかも分からんですからね。
何時もとは違う、ワクワク感いっぱいの釣行でした。
お疲れ様でした。
ありがとうございました。














