優誠丸
ウタセ真鯛・マタカ狙い
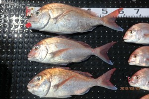
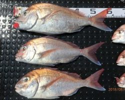
8月5日(日) 急ではありましたが、ウタセ真鯛・マタカ狙いで出船しました。ですが、ウタセエビも十分にあるとは言えない状態でしたので流し釣りで操業してきました。 アタリも多く開始30分ほどで小ぶりながらも真鯛が釣れてやる気満々に、その後は、バラシも多々ありましたがそれでも皆様1匹以上釣り上げ大漁でした\(^o^)/3人分の釣果です。尻尾の先までまるまるしていて美味しそうな真鯛ばかりでした!! ウタセエビの入荷次第になってしまいますが、今後もウタセ真鯛出船していきます。


















